Lees hier alles over de Genius RF Microneedling
- RF Microneedling is dé manier om celvernieuwing in de diepte te vernieuwen
- Fijne lijntjes, grove poriën en verslapping worden aangepakt
- Het hele jaar geschikt bij alle huidtypes

Stel je vraag aan huidtherapeut Raquelle
Bel 030 - 751 02 96 of mail info@huidlaserutrecht.nl
Wat is RF Microneedling?
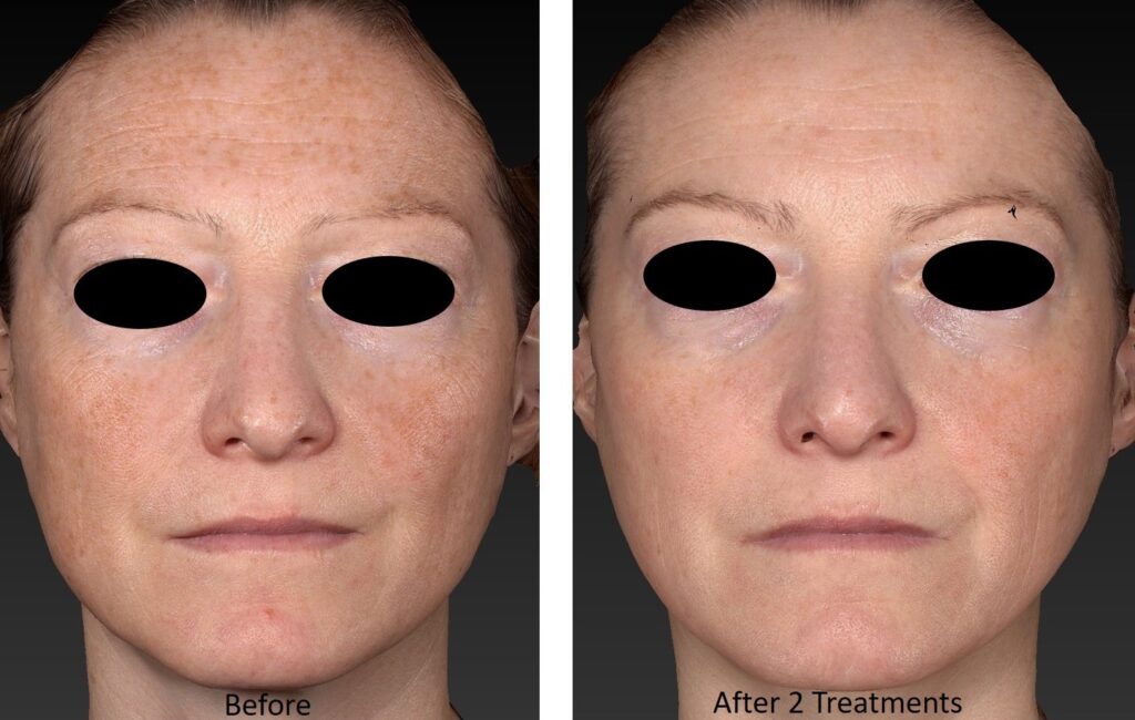
De Lutronic Genius RF Microneedling is een effectieve en veilige methode om de huidstructuur te verbeteren. Deze behandeling combineert microneedling met radiofrequentie (RF), waardoor de diepere huidlagen worden gestimuleerd om collageen en elastine aan te maken. Dit proces zorgt voor een stevigere, gladdere en egalere huid.
Tijdens de behandeling worden met ultrafijne naaldjes kleine kanaaltjes in de huid gemaakt, terwijl tegelijkertijd warmte via radiofrequentie wordt afgegeven. Deze combinatie zorgt voor een krachtige stimulatie van het natuurlijke herstelproces van de huid.
RF Microneedling: behandeling en herstel
De huid kan na de behandeling wat rood zijn en licht gevoelig aanvoelen. Dit trekt meestal binnen één tot twee dagen weg. Afhankelijk van het huidprobleem zijn er gemiddeld 3 tot 5 behandelingen nodig voor optimaal resultaat.
Indicaties RF Microneedling
RF Microneedling is geschikt voor het behandelen van:
- Fijne lijntjes en rimpels
- Grove poriën
- Acne littekens
- Verslapte huid
- Huidveroudering



Voordelen van RF Microneedling
- Fijnere huidstructuur
- Vermindering zichtbaarheid van poriën
- Verstrakking wangen en kaaklijn
- Korte hersteltijd
- Bewezen effectiviteit
- Geschikt voor elk huidtype
- Kan het hele jaar door worden uitgevoerd
Voorbereiding RF Microneedling
Voor een optimaal resultaat en snel en veilig herstel van de huid is het belangrijk om de behandeling thuis al te starten met de juiste thuisproducten. Deze thuisproducten zorgen ervoor dat de huid in een goede conditie is, zodat het hoogste resultaat behaald kan worden. Een goede hydratatie van de huid is noodzakelijk voor deze behandeling. Alleen tijdens een consult kan de huidtherapeut bepalen welke producten geschikt zijn voor je huidtype en -conditie.


Nazorg RF Microneedling
Voor een optimaal herstel adviseren wij om gedurende 2 weken alleen de door je huidtherapeut aanbevolen producten te gebruiken. Deze producten bevatten werkzame stoffen om het genezingsproces en collageenproductie van de huid te bevorderen. Indien u er toch voor kiest om eigen producten te gebruiken, kan het herstel afwijken zoals in de voorlichting is beschreven.
Je mag de volgende dag weer met je gezicht onder de douche én haren wassen.
Je mag direct op je dagelijkse hydraterende huidverzorgingsproducten overgaan. Als je actieve ingrediënten met zuren en/of retinol gebruikt, mag dit na 2 weken weer aangebracht worden. Houd er rekening mee dat je het gebruik van een retinol crème weer moet opbouwen.
Je mag de volgende dag weer make-up dragen.
Pas de eerste 2 weken na de behandeling op met blootstelling aan zonlicht. Kun je de zon niet vermijden, smeer de huid dan in met zonnebrandcrème SPF 30/50 om de 2 uur.
- Ga de eerste 3 dagen na de behandeling niet naar de sauna en in hete baden.
- Je mag de dag erna weer sporten. Bij veel zwelling pas weer sporten wanneer de zwelling weg is.
- Voor langdurig resultaat worden producten geadviseerd met werkstoffen die ervoor zorgen dat het huidverouderingsproces vertraagd. Je huidtherapeut kan je hierover adviseren.
Ben je bekend met een koortslip? Heb je tot een half jaar voorafgaand aan de behandeling een koortslip gehad, geef dit dan aan bij de huidtherapeut. Een herpesvirus blijft altijd actief in de huid of slijmvliezen en kan uitgelokt worden door een intensieve peeling (TCA) of warmte van een ablatieve laser.
Resultaat
Afhankelijk van de indicatie zijn gemiddeld 3 behandelingen nodig met een interval van 6 weken.
Na het behandeltraject kun je merken dat de huidstructuur is verfijnd, de kleur egaler is en de huid is verstevigd. Littekens komen oppervlakkiger te liggen en het reliëfverschil verminderd.
Prijzen
-
RF Microneedling gezichtKuur prijs van 3 keer €1650€610
-
RF Microneedling halsKuur prijs van 3 keer €1055€380
-
RF Microneedling gezicht + halsKuur prijs van 3 keer €2270€790
Wie voert de behandeling uit?
De behandeling binnen de kliniek worden uitgevoerd door gediplomeerde huidtherapeuten. Onze kliniek is aangesloten bij de Nederlandse Vereniging van Huidtherapeuten (NVH) en voldoet aan de eisen van het Kwaliteitsregister (KP). Indien je aanvullend verzekerd bent, is afhankelijk van je polis een vergoeding mogelijk.
Veelgestelde vragen
- Fijne lijntjes en rimpels
- Grove poriën
- Acne littekens
- Huidverslapping
- Warmtesensatie: Direct na de behandeling tot enkele uren nadien. Koel indien nodig met een koude natte washand of coldpack uit de koelkast (geen ijs of diepvriesproducten direct op de huid!).
- Roodheid: De huid kan enkele dagen rood zijn. Dit is een normale reactie op de warmte en genezing.
- Zwelling: Soms treedt lichte zwelling op. Slaap de eerste nacht eventueel met een extra kussen.
- Bruine verkleuring: Het behandelde gebied kan tijdelijk donkerder kleuren bij pigment gevoeligheid.
- Ruwheid: De huid kan enkele dagen ruw aanvoelen wanneer de behandeling gecombineerd is met de Thulium laser.
De hersteltijd hangt af van de indicatie waarvoor je wordt behandeld. De huidtherapeut zal je hier over informeren voorafgaand aan de behandeling. Na iedere behandeling heb je roodheid en/of zwelling, de lengte van de hersteltijd kan alleen variëren per indicatie. Er kan bijvoorbeeld een rasterpatroon ontstaan op de huid tot ongeveer een week na de behandeling.
Je mag de dag na de behandeling direct weer make-up aanbrengen.
Je mag de dag na de behandeling weer sporten. Wanneer je veel zwelling hebt na de behandeling, dan mag je weer sporten als de zwelling weg is.
Je mag na 3 dagen weer zwemmen of naar de sauna wanneer je een RF Microneedling behandeling hebt gehad. Tot die tijd wil je zoveel mogelijk extra warmte voorkomen in je huid!
Je mag na 2-4 weken weer in de zon mits je je huid goed beschermt met een zonbescherming met minimaal factor SPF 30. Ben je pigmentgevoelig, houd dan 4 weken aan!
- Botox: dit mag tot 1 week voor de laserbehandeling. Na je RF Microneedling behandeling mag je weer een Botox behandeling inplannen als je huid volledig hersteld is.
- Fillers: 6 weken voorafgaand geen filler behandeling voor je RF Microneedling. Je volgende filler behandeling mag weer als je huid volledig hersteld is.
Impressie Video's
Afspraak maken
Binnen onze kliniek behandelen en verminderen wij verschillende indicaties door middel van persoonlijke adviezen, lasertherapie en medische peelings. Samen met jou stellen wij een persoonlijk behandelplan op om je van binnen en buiten weer te laten stralen. Je kunt in onze kliniek rekenen op een eerlijke, persoonlijke, betrouwbare voorlichting, deskundigheid en professionaliteit. Vanaf het moment dat je bij ons binnenkomt, heb je de eerste stap gezet om je zo lekker mogelijk in je vel te voelen en te werken aan de gezondheid van je huid.
Afspraak maken
Binnen onze kliniek behandelen en verminderen wij verschillende indicaties door middel van persoonlijke adviezen, lasertherapie en medische peelings. Samen met jou stellen wij een persoonlijk behandelplan op om je van binnen en buiten weer te laten stralen. Je kunt in onze kliniek rekenen op een eerlijke, persoonlijke, betrouwbare voorlichting, deskundigheid en professionaliteit. Vanaf het moment dat je bij ons binnenkomt, heb je de eerste stap gezet om je zo lekker mogelijk in je vel te voelen en te werken aan de gezondheid van je huid.

